まずGoogleを開きます。

IMFのWorld Economic Outlook Databaseというやつを探します。
今回は、最新版であるApril 2020を開きます。


開くと、こんな画面が出てきます。
英語ばっかりで、ブラウザバックしたくなる気持ちは分かりますが、ちょっと待って。
分かればいい箇所はたった1つで、真ん中上の方にある枠内のBy Countriesというやつをクリックするだけです。(決して怪しいサイトに飛ばされたりはしません)

ページを開くと、こんな画面が出てきて何やら色々と書いてますが、今はAll countriesをクリックします。

開くと、こんな風に全ての国にチェックが入った状態で表示されます。
全ての国のデータが同時に欲しい場合は別ですが、2. Select Countriesの下にあるClear Allのボタンを押すと、全てのチェックが外れるので、押します。

今回は、アフガニスタンの過去10年のGDP成長率が知りたいので(そうなの?)
Afghanistanにチェックを入れ、Clear Allの右をずっといったところにあるContinueというボタンを押します。

すると、選んだ国の中でどんなデータが欲しいのか聞いてきますので、欲しいデータにチェックを入れます。今回はGDP成長率でしたので、一番上の空欄にチェックを入れます。欲しいデータ全てにチェックを入れたら、またContinueを押して進みます。

すると今度は、何年から何年までのデータが欲しいんだ?(白人男性風)と聞いてきますので、Date RangeのStartとEndを選択します。今回は2009年から2019年のデータです。
年を選ぶ下の方に何やらゴチャゴチャ書いていますが、今回は触らずに無視します。
選んだら、今度はContinueの代わりにPrepare Reportを押します。

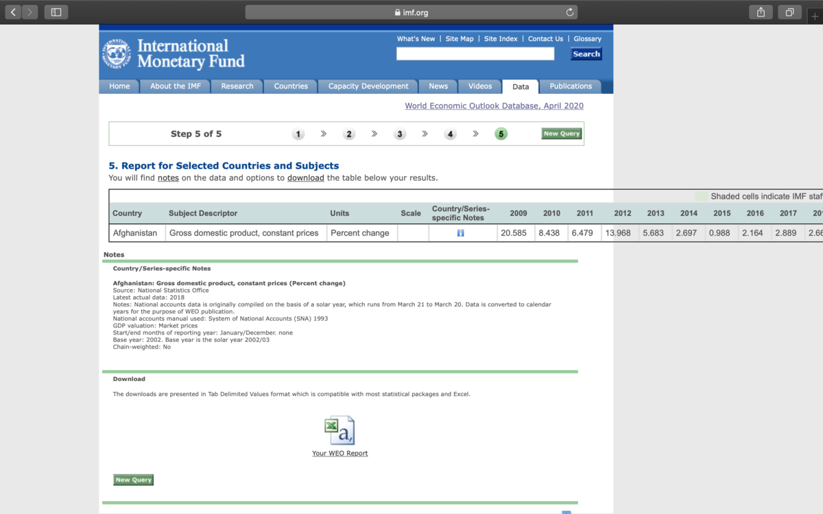
すると、選んだ国、選んだ指標、選んだ年のデータが横並びで一覧で表示されます。
コピーしてやって、グラフでも作れば完璧です。
てか2009年のGDP成長率たかすぎやろ。

以上です。これであなたも経済指標統計とってくるマスター!